
▲ 9월 11일 너도밤나무

▲ 4월 20일 너도밤나무 새순

▲ 4월 20일 너도밤나무 새순

▲8월 17일 너도밤나무 잎

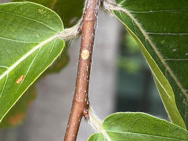
▲ 8월 17일 너도밤나무 잎자루, 잎맥 털

▲ 4월 26일 너도밤나무 암꽃 - 국가생물종지식정보시스템

▲ 5월 3일 너도밤나무 수꽃 - 국가생물종지식정보시스템

▲ 9월 11일 너도밤나무 열매

▲ 8월 17일 너도밤나무 수피

▲ 11월 15일 너도밤나무 겨울눈
※ 출처 : 국가생물종지식정보시스템
| 무턱대고 나무탐구 육십삼. 돈나무 (43) | 2025.08.17 |
|---|---|
| 무턱대고 나무탐구 육십이. 노간주나무 (23) | 2025.08.16 |
| 무턱대고 나무탐구 육십. 구상나무 (36) | 2025.08.14 |
| 무턱대고 나무탐구 오십구. 국수나무 (28) | 2025.08.13 |
| 무턱대고 나무탐구 오십팔. 백량금 (40) | 2025.08.12 |