
▲ 4월 13일 진달래 - 국가생물종지식정보시스템

▲ 4월 2일 진달래 꽃
★ 잎보다 꽃이 먼저 핀다.

▲ 4월 2일 진달래 꽃

▲ 4월 2일 진달래 꽃

▲ 6월 21일 진달래 잎 - 국가생물종지식정보시스템

▲ 11월 15일 진달래 잎

▲ 9월 8일 진달래 열매

▲ 9월 8일 진달래 열매

▲ 11월 15일 진달래 열매

▲ 9월 8일 진달래 수피

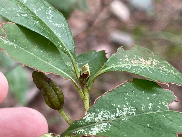
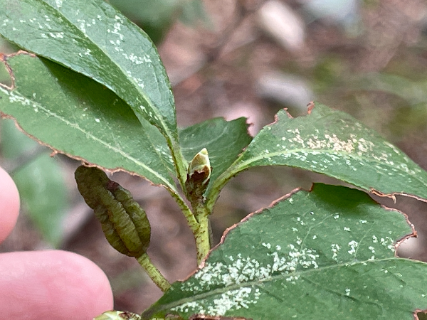
▲ 11월 15일 진달래 겨울눈
※ 출처 : 국가생물종지식정보시스템
| 무턱대고 나무탐구 구십일. 미국능소화 (21) | 2025.09.18 |
|---|---|
| 무턱대고 나무탐구 구십. 팽나무 (25) | 2025.09.17 |
| 무턱대고 나무탐구 팔십팔. 울릉솔송나무 (12) | 2025.09.15 |
| 무턱대고 나무탐구 팔십칠. 비목나무 (18) | 2025.09.13 |
| 무턱대고 나무탐구 팔십육. 벽오동나무 (12) | 2025.09.12 |